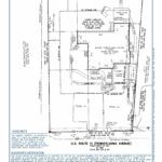
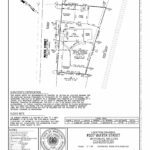
Location Drawing in Maryland and Pennsylvania

Location

Maryland and Pennsylvania

Having a new deck, fence, or addition built? Some municipalities required a Location Drawing as part of the permitting submittal process. For a Location Drawing, the surveyor is offering the insurance company and mortgage company an assurance that any improvements to the property are within the boundary lines. Contact us today for more information.

Any questions?
Let us know. We're happy to help.